By allowing ads to appear on this site, you support the local businesses who, in turn, support great journalism.
Second diverging diamond planned for South County
tracy interchange
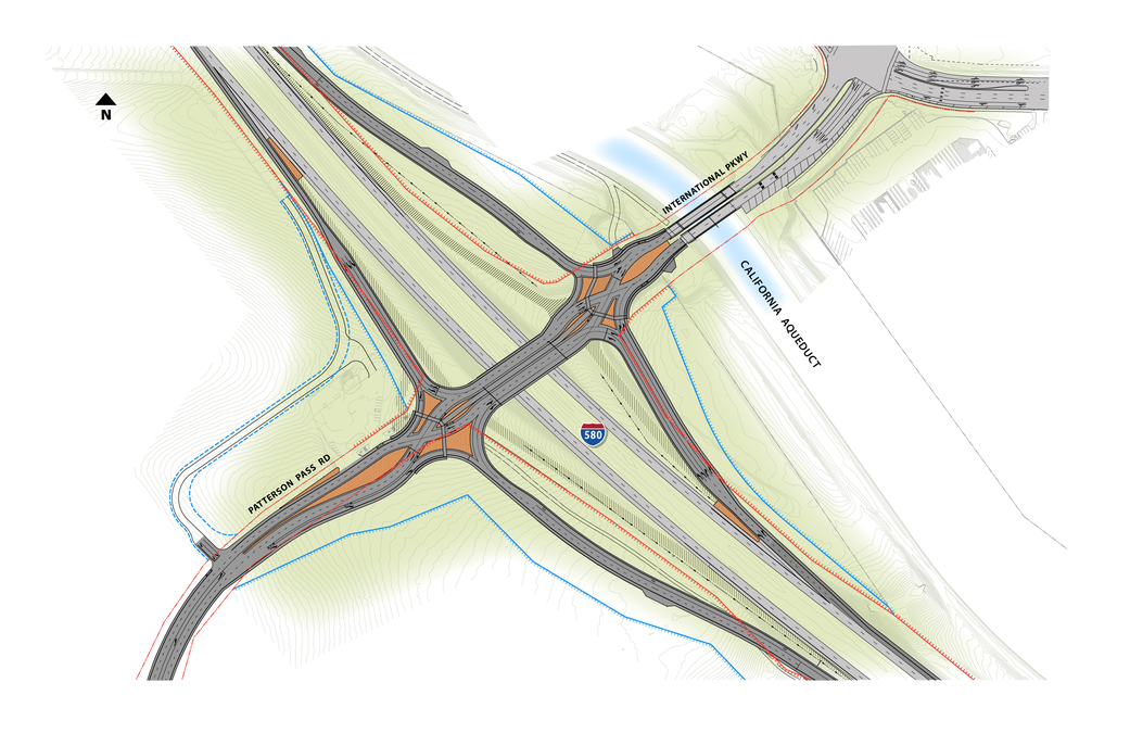
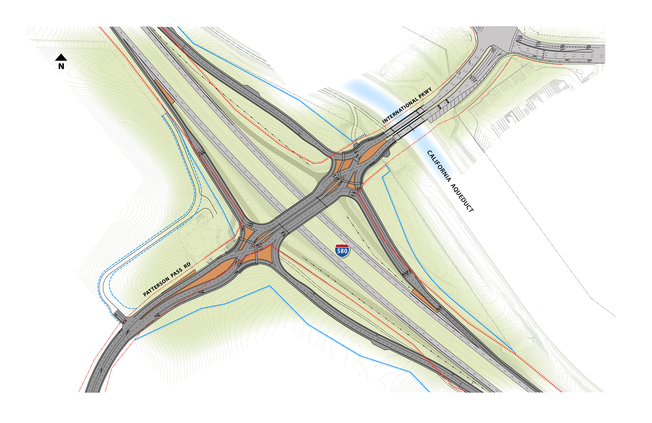
The design for the diverging diamond interchange planned at Interstate 580 and International Parkway in Tracy.

South San Joaquin County’s second diverging diamond interchange will be built in Tracy.

The $24.8 million project will convert the existing interchange on Interstate 580 at International Parkway into a configuration that mirrors the diverging diamond design that opened in Manteca at Union Road and the 120 Bypass in November. The Manteca interchange is the first diverging diamond in California.

A diverging diamond interchange is also planned at Highway 99 and Mitchell Road in Ceres.

Construction on the Tracy interchange is targeted to start in the fall 2022.

The diverging diamond design uses less land, are less expensive to build, reduce the potential for accidents, eliminates the most dangerous conflicts resulting in serious injuries that are left turns, reduces traffic signals, and allows for better traffic flow.

The I‐580 at International Parkway interchange project will reconstruct the existing interchange, widening the on- and off-ramps, and widen the freeway overcrossing to increase traffic capacity and truck throughput. The project will modify the current configuration to a diverging diamond interchange. This design will allow for free movements onto the interstate, improving safety and access to important freight routes. The new I‐580 Interchange will also include continuous Class II bike lanes and sidewalks, providing safe passage for bicycles and pedestrians over the freeway.

The City of Tracy, in partnership with Caltrans, submitted a Trade Corridor Enhancement Program grant funding application for construction funding for the I-580 Interchange. The project competed against 46 other projects from across the State and was awarded $24,884,000 in State funding.

“Funding for the I-580 Interchange is welcome news for our community,” said Andrew Malik, City of Tracy Assistant City Manager. “We look forward to completion of this project, which will support the development of logistic centers and job creation in the City.”

Development in Cordes Ranch near the I-205/I-580 interchange began in 2013. Cordes Ranch, now named the International Park of Commerce (IPC), consists of 450 acres and 20 million square feet of fulfillment center, flex-office, distribution center, and warehouse space and represents what is cutting edge within the e-commerce market. The IPC is home to large logistics centers for Amazon, Costco, Safeway, and Smuckers and is projected to contribute up to 16,000 jobs to the City of Tracy. The new interchange design will reduce congestion and improve goods movement from the IPC to critical freight highways.

. Information and updates on the I-580 at International Parkway Interchange can be found on the project website: https://205and580interchanges.com.